Удиви меня
Хребет океана
Срединно-атлантический хребет. рельеф атлантического океана. срединно океанические хребты атлантического океана. рельеф дна атлантического океана.
Хребет океана
Чёрное море глубина рельеф. рельеф дна северного ледовитого океана. хребты северного ледовитого океана. рельеф дна черного моря.
Рельеф дна котловины атлантического океана. срединно океанические хребты мирового океана. карта дна атлантического океана. атлантический океан срединно атлантический хребет.
Срединно океанические хребты мирового океана. карта дна мирового океана. карта рельефа дна мирового океана. тихоокеанский срединный хребет.
Подводные хребты атлантического океана. подводный срединно-океанический хребет. океанический разлом. хребет в океане.
Хребет океана
Рифт (разлом) сильфра. впадина сильфра исландия. океанический рифт. срединно океанический хребет исландия.
Атлантический срединно-океанический хребет. атлантический океан срединно атлантический хребет. срединно океанические хребты атлантического океана. срединно-атлантический хребет исландия.
Хребет океана
Хребет океана
Подводные хребты тихого океана. императорские горы в тихом океане. дно океана. морское дно.
Рельеф дна атлантического океана. атлантический океан срединно атлантический хребет. хребты атлантического океана. срединно океанические хребты атлантического океана.
Хребет океана
Подводные хребты. горы под водой. подводные горы атлантического океана.
Хребет океана
Срединно-океанические хребты дна мирового океана. середина океанический хребет. система срединно-океанических хребтов. тихоокеанский срединный хребет.
Хребет океана
Атлантический океан рельеф дна океана. рельеф дна атлантического океана. атлантический океан срединно атлантический хребет. карта дна атлантического океана.
Подводный каньон монтерей. дно тихого океана. горы под водой. дно тихого океана фото.
Срединно-океанический хребет. зондский желоб индийский океан. срединно океанические хребты индийского океана на карте. срединно океанические хребты тихого океана на карте.
Карта дна атлантического океана. рельеф дна атлантического океана. срединно-океанические хребты дна мирового океана. карта рельефа дна атлантического океана.
Атлантический океан срединно атлантический хребет. рельеф дна атлантического океана. северо -атлантический срединно - океанический хребет. атлантический океан рельеф дна шельф.
Хребет океана
Среднеокеанский хребет тихого океана. хребты тихого океана 7 класс атлас. хребты и поднятия индийского океана. котловины и хребты тихого океана.
Хребет океана
Подводный хребет менделеева в северном ледовитом океане. хребет ломоносова в северном ледовитом океане. хребет ломоносова и менделеева. арктика хребет ломоносова.
Хребет океана
Хребет океана
Хребет океана
Дно атлантического океана. дно тихого океана. тихий океан дно океана. тихий океан под водой.
Пейзаж. подводные горы в тихом океане. подводный горный хребет. горные хребты в океане.
Хребет океана
Хребет океана
Срединно-океанический хребет. серединоо океаничечкие хребты. срединно океанические хре,tn. сеиединно океанические хребетв.
Тур хейердал кон тики карта. тур хейердал путешествие на карте кон-тики маршрут. срединно океанические хребты тихого океана. маршрут тура хейердала на кон тики на карте.
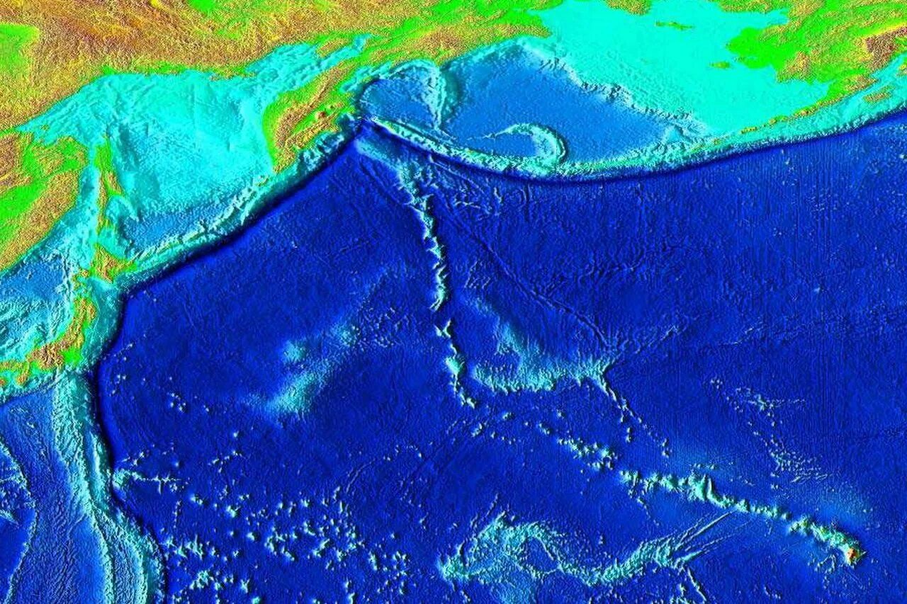
Рельеф дна тихого океана. карта рельефа дна тихого океана. гавайский хребет в тихом океане. северо западный хребет тихого океана.
Рельеф дна северного ледовитого океана. карта дна северного ледовитого океана. хребет ломоносова в северном ледовитом океане. хребты дна северного ледовитого океана.
Срединно океанические хребты атлантического океана на карте. срединно атлантический хребет на карте мира. срединно океанические хребты атлантического океана. карта рельефа дна атлантического океана.
Рельеф дна атлантического океана. карта дна атлантического океана. атлантический океан рельеф дна океана. карта рельефа дна атлантического океана.